这个黄浦区的小区,被列入了老城区的改造范围!
03-13 06:12
原创 上海黄浦 上海黄浦
黄浦作为中心城市,曾经是全市二级以下老城区数量最多、旧改任务最重的城市。改善居民生活条件是黄浦几代人的愿望,只有起点没有终点。2022年,黄浦在全面完成二级旧房改造后,启动了新一轮“两旧”改造——零星旧房改造和成套旧房改造。
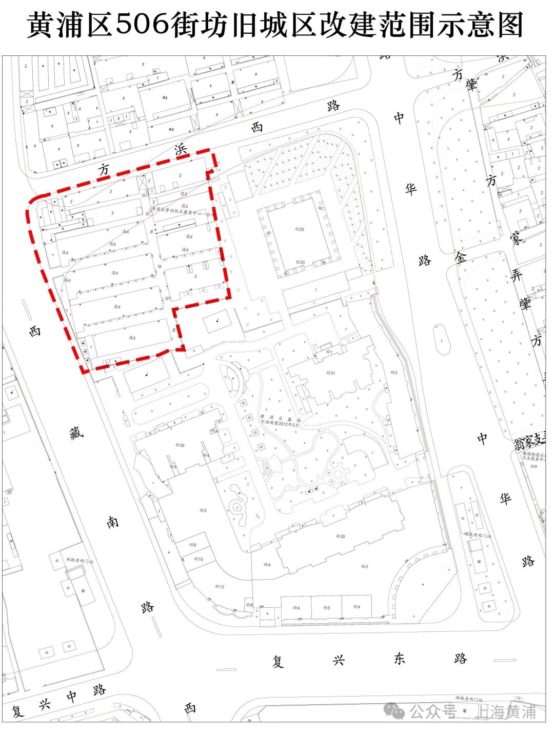
2025年新开年,黄浦零星旧改又传来好消息!黄浦区发布《黄浦区人民政府关于批准确定黄浦区506街区老城区改造项目房屋征收范围的批复》(黄府〔2025〕2号),确定506小区纳入我区老城区改造范围。房屋征收范围为:东至黄浦中心大厦,南至黄浦中鑫城,西至西藏南路,北至方邈西路。
黄浦旧改相关部门和第三征收事务所作为今年黄浦区首批计划启动的零星二级旧里改造项目,将与豫园街道联系起来,积极为一轮意愿征求做好充分准备。接下来,506街区老城区改造项目组将积极践行人民城市理念,不断推进项目高质量高效完成,把区委、区政府的决心变成人民的福音,把城市洼地变成发展高地,把居民的想法率变成签约率,全力推动老城区面貌焕发青春。
记者 / 王月华
编辑 / 黄骞文
照片 / 三所黄浦被征收
请注明转载来自上海黄浦官方微信
黄色/浦/进/行/时
原标题:“黄浦区这个小区,被列入老城区改造范围!”
阅读原文
本文仅代表作者观点,版权归原创者所有,如需转载请在文中注明来源及作者名字。
免责声明:本文系转载编辑文章,仅作分享之用。如分享内容、图片侵犯到您的版权或非授权发布,请及时与我们联系进行审核处理或删除,您可以发送材料至邮箱:service@tojoy.com




