江桥镇将新建4条道路,出行更加方便。→
2024-06-15
@小伙伴嘉定
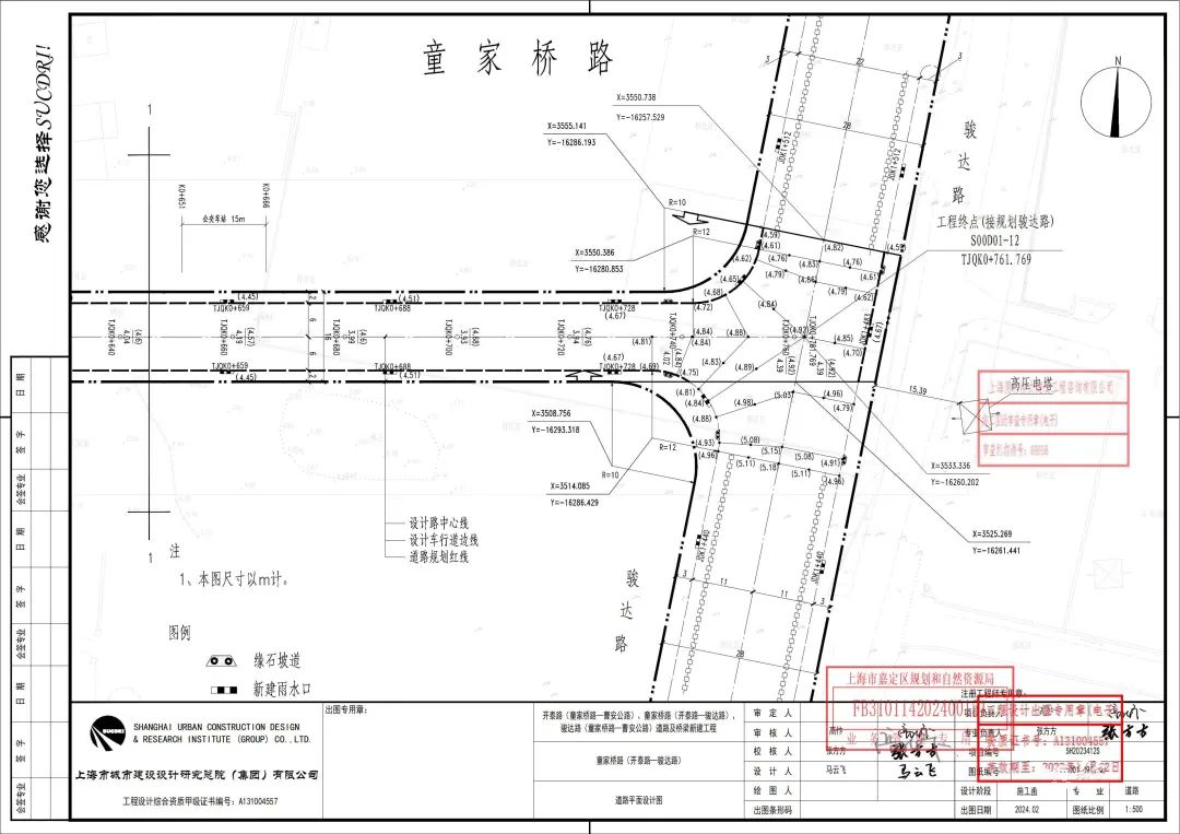
嘉定区江桥镇将新建道路及桥梁
详细如下↓

建设单位(个人)
上海地产北虹桥开发建设有限公司
建设项目名称
开泰路(童家桥-曹安公路)、
童家桥(开泰路-骏达路)、
骏达路(童家桥-曹安公路)
新建的道路和桥梁工程
建设位置
从东到03-01地块,从南到04-01地块
西至01-12地块,北至曹安公路
建设规模
开泰路长约188.21米,宽28米,新建一座桥梁;
童家桥长约218.81米,宽16米;
骏达路长约147.49米,宽28米,新建一座桥梁。






建设单位(个人)
上海地产北虹桥开发建设有限公司
建设项目名称
涟澜路(瑞文路-昌瑞路)
新建的道路和桥梁工程
建设位置
东至路红线,南至瑞文路,
西至红线,北至昌瑞路
建设规模
全长约683.51米,宽18米,新建桥梁1座。





通讯员:嘉小规
原标题:“江桥镇将新建4条道路,出行更加方便。→》
本文仅代表作者观点,版权归原创者所有,如需转载请在文中注明来源及作者名字。
免责声明:本文系转载编辑文章,仅作分享之用。如分享内容、图片侵犯到您的版权或非授权发布,请及时与我们联系进行审核处理或删除,您可以发送材料至邮箱:service@tojoy.com





